Youth Channel VN

Menu
  • Trang chủ
  • Xã hội
  • Tâm sự
  • Tử vi
  • Mẹo vặt
  • Sao
  • Xe
  • Chính sách bảo mật
Home
Xã hội
Hà Nội ra cảnh báo nóng tới tất cả người dân

Hà Nội ra cảnh báo nóng tới tất cả người dân

admin 25 Tháng 9, 2025

Trước diễn biến phức tạp của siêu bão Ragasa, Chủ tịch UBND TP. Hà Nội Trần Sỹ Thanh khuyến cáo người dân hạn chế ra đường khi bão đổ bộ.

Ngày 24/9, Chủ tịch UBND Thành phố Hà Nội Trần Sỹ Thanh đã ban hành Công điện về việc khẩn trương triển khai công tác ứng phó bão số 9 (siêu bão Ragasa).

Công điện nêu rõ, dự báo từ sáng ngày 25/9 đến ngày 26/9, thành phố Hà Nội có mưa vừa, mưa to, có nơi mưa rất to và dông do ảnh hưởng của bão số 9.

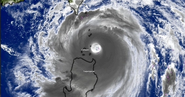
Hà Nội ra cảnh báo nóng tới tất cả người dân- Ảnh 1.

Ảnh vệ tinh về siêu bão Ragasa trước khi đi vào Biển Đông thành cơn bão số 9 (Ảnh: VGP).

Chủ tịch Trần Sỹ Thanh yêu cầu giám đốc, thủ trưởng các sở, ban, ngành thành phố, chủ tịch UBND các phường, xã tập trung theo dõi, cập nhật, nắm chắc tình hình, chủ động, kịp thời chỉ đạo, triển khai các biện pháp ứng phó thiên tai, lường trước kịch bản xấu nhất đặt mục tiêu bảo đảm an toàn tính mạng người dân lên trên hết, trước hết.

Chủ tịch UBND TP. Hà Nội yêu cầu tập trung một số nhiệm vụ sau: Chủ tịch UBND các phường, xã tiếp tục chỉ đạo theo dõi chặt chẽ các bản tin cảnh báo, dự báo và diễn biến tình hình thời tiết, thiên tai để thường xuyên thông báo, hướng dẫn kịp thời cho nhân dân chủ động phòng tránh, ứng phó, khắc phục hậu quả giảm thiểu thiệt hại do tác động của thiên tai, sự cố.

Tập trung lãnh đạo, chỉ đạo sẵn sàng triển khai các biện pháp ứng phó với siêu bão, trong đó cần tập trung: bảo đảm an toàn tính mạng nhân dân, nhất là người già, trẻ em, học sinh và các đối tượng yếu thế khác; bảo vệ nhà cửa, kho tàng, nhà xưởng, trụ sở cơ quan, đơn vị, cơ sở giáo dục, y tế, hệ thống đê điều, hồ đập, công trình cơ sở hạ tầng, hoạt động sản xuất kinh doanh, nhất là sản xuất nông nghiệp với phương châm là “xanh nhà hơn già đồng”; rà soát phương án, sẵn sàng tổ chức sơ tán, di dời dân cư để bảo đảm an toàn trước khi bão đổ bộ, triển khai công tác cứu hộ, cứu nạn khi có tình huống xấu xảy ra.

Tổ chức, bố trí lực lượng kiểm soát việc đi lại, phân luồng, hướng dẫn giao thông, hạn chế người dân ra đường trong thời gian bão đổ bộ, dông lốc trước bão; kiểm soát, hướng dẫn tại các ngầm, tràn, đường giao thông ngập sâu, nước chảy xiết, các tuyến đường bị sự cố hoặc có nguy cơ sạt lở; sẵn sàng lực lượng, vật tư, phương tiện để khắc phục sự cố, bảo đảm giao thông thông suốt trên các trục giao thông chính khi xảy ra mưa lớn.

Theo bản tin mới nhất của Trung tâm khí tượng thủy văn Quốc gia, vào 22h tối 24/9, bão số 9 cách Móng Cái (Quảng Ninh) khoảng 300km về phía Đông. Sức gió mạnh nhất: Cấp 12 (118 – 133km/h), giật cấp 15.

Dự báo khoảng trưa đến chiều ngày 25/9, vùng tâm bão sẽ đi vào đất liền nước ta. Khu vực từ Quảng Ninh-Hưng Yên là vùng khả năng cao vùng tâm bão sẽ đổ bộ.

Do ảnh hưởng của bão, mưa lớn xảy ra ở khu vực Bắc Bộ, Thanh Hóa và Nghệ An từ đêm 24/9 đến ngày 26/9. Lượng mưa phổ biến từ 100–250 mm, cục bộ có nơi trên 400 mm và cần đề phòng mưa với cường suất lớn gây ngập úng đô thị.

Dự báo các tỉnh có mưa lớn gồm: Thái Nguyên, phía nam Tuyên Quang, Lào Cai, Phú Thọ, vùng đồng bằng Bắc Bộ, Thanh Hóa.

Cơ quan khí tượng thủy văn lưu ý, phân bố mưa theo thời gian sẽ không đồng đều. Từ đêm nay các tỉnh Quảng Ninh, Lạng Sơn, Hải Phòng bắt đầu sẽ có mưa. Thủ đô Hà Nội thì từ khoảng trưa ngày mai mưa sẽ tăng dần.

Nguồn: https://doisongphapluat.nguoiduatin.vn/ha-noi-ra-canh-bao-nong-toi-tat-ca-nguoi-dan-a574625.html

Prev Article
Next Article

Related Articles

Tổ tiên có câu: ‘Tay nam 1 đường là vàng, tay nữ 1 đường là bỏ’, tại sao lại như vậy?

Tổ tiên có câu: ‘Tay nam 1 đường là vàng, tay nữ 1 đường là bỏ’, tại sao lại như vậy?

Phụ nữ có chồng rồi, muốn biết có hạnh phúc hay không cứ nhìn vào chỗ này là rõ

Phụ nữ có chồng rồi, muốn biết có hạnh phúc hay không cứ nhìn vào chỗ này là rõ

NEWS

  • Các nhân viên nhìn thấy dòng chữ của bà cụ thì vội vàng ấn nút khẩn cấp
    Các nhân viên nhìn thấy dòng chữ …
  • Giá vàng chiều nay (7-9): Neo ở vùng đỉnh
    Giá vàng chiều nay (7-9): Neo ở …
  • Mẹ mất 7 ngày bố dượng đã đuổi tôi khỏi nhà, 10 năm sau quay lại, tôi bật khóc khi mở cửa ra..
    Mẹ mất 7 ngày bố dượng đã …
  • Mỗi đêm sau khi tắt đèn, nữ y tá trẻ đều lén vào phòng tôi, một lần giả vờ ngủ, tôi chứng kiến bí mật kinh hoàng của cô ta…
    Mỗi đêm sau khi tắt đèn, nữ …
  • Vợ mang thai 6 tháng không chịu bước xuống giường, chồng nghi ngờ vén chăn lên và cảnh tượng khiến anh run rẩy…
    Vợ mang thai 6 tháng không chịu …

Youth Channel VN

Copyright © 2025 Youth Channel VN
Liên hệ: [email protected]